Länder:

+1Kontinente:NA


+1Kontinente:NANeues Layout der Navigation (Beta Test)
LebendfotosDiagnoseWeitere InformationenAndere KombinationenSynonymeLiteraturInformationen auf anderen Websites (externe Links)
1. Lebendfotos
1.1. Falter
1-3: Kanada, Nova Scotia, Cape Breton, Nachzucht 2014 (cult. & fot.: Heinrich Vogel)Forum
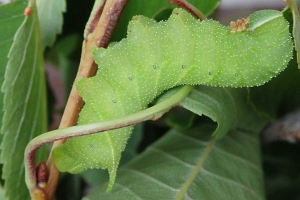
1.2. Raupe
1-2: Kanada, Nova Scotia, Cape Breton, Nachzucht 2014 (cult. & fot.: Heinrich Vogel)Forum
2. Diagnose
2.1. Erstbeschreibung
1-3: Smith (1797: 49-50, pl. XXV) [nach Copyright-freien Scans auf www.biodiversitylibrary.org]
3. Weitere Informationen
3.1. Andere Kombinationen
- Sphinx excaecata J. E. Smith, 1797 [Originalkombination]
3.2. Synonyme
- Paonias pavonina Geyer, 1837 [Synonym nach funet.fi]
- Paonias excaecata var. pecosensis Cockerell, 1905 [Synonym nach funet.fi]
- Calasymbolus excoecata [sic] borealis Clark, 1929 [Synonym nach funet.fi]
3.3. Literatur
- Erstbeschreibung: Smith, J. E. (1797): The Natural History of the rarer Lepidopterous Insects of Georgia. Including their Systematic Characters, the Particulars of their several Metamorphoses, and the Plants on which they Feed. Vol. I: i-xv, 1-100, pl. I-L. London (T. Bensley).









