

+47Kontinente:EUASAF












1. Lebendfotos
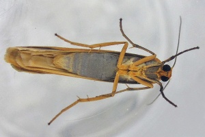
1.1. Falter
1.2. Balz
1.3. Raupe
1.4. Puppe
1.5. Ei
2. Diagnose
| Flachflügel-Typ | Rollflügel-Typ |
| Eilema depressa | Eilema complana |
| Eilema griseola | Eilema pseudocomplana |
| Eilema lurideola | Eilema caniola |
| Eilema sororcula | Eilema palliatella |
| Eilema pygmaeola | |
| Eilema lutarella |
[Demonstration Flach- vs. Rollflügeltyp]
Eilema complana gehört zum sog. Rollflügeltyp, d.h. die Flügel werden in Ruhestellung um den Körper gerollt. Dieses Merkmal kann in der Natur sehr gut beobachtet werden, es wird jedoch bei Sammlungsexemplaren hinfällig.
Der gelbe Streifen am Vorderrand verläuft gleichbreit bis zur Flügelspitze (bei E. lurideola zur Flügelspitze hin zugespitzt). Das Abdomen ist im letzten Drittel gelb, während es bei der sehr ähnlichen E. lurideola nur am äußersten Ende ockergelb ist. Die Vorderflügel sind meist dunkler grau.
In der Costalmitte auf der Vorderflügelunterseite befinden sich beim Männchen von E. complana abstehende Duftschuppen (Androkonien), diese fehlen bei E. lurideola und E. pseudocomplana:
Ferner weist der Costalrand der Hinterflügelunterseite im Gegensatz zu E. pseudocomplana eine graue Beschuppung auf.
(Autor: RR; nach Ebert (1997) & Fajčik, J. (2003))
2.1. Männchen
2.2. Weibchen
2.3. Geschlecht nicht bestimmt
2.4. Genitalien
2.4.1. Männchen
2.4.2. Weibchen
2.5. Ähnliche Arten
- Eilema depressa (Esper, 1787)
- Eilema griseola (Hübner, 1803)
- Eilema lurideola (Zincken, 1817)
- Eilema pseudocomplana (Daniel, 1939)
- Eilema caniola (Hübner, 1808)
- Eilema palliatella (Scopoli, 1763)
- Eilema pygmaeola (Doubleday, 1847)
- Eilema lutarella (Linnaeus, 1758)
- Eilema sororcula (Hufnagel, 1766)
2.6. Erstbeschreibung
3. Biologie
3.1. Habitat
4. Weitere Informationen
4.1. Etymologie (Namenserklärung)
„die Flache, wegen der Flügelhaltung.“
sericea: „ die Seidene.“
4.2. Andere Kombinationen
- Phalaena complana Linnaeus, 1758 [Originalkombination]
- Lithosia complana (Linnaeus, 1758)
- Manulea complana (Linnaeus, 1758) [comb. nov. nach Dubatolov & Zolotuhin (2011); so auch bei Macià et al. (2022), siehe Kommentar zur Atomisierung von Eilema s.l. im Abschnitt Taxonomie bei Eilema caniola]
4.3. Synonyme
- Phalaena ochrocephala Geoffroy, 1785
- Lithosia complanata Costa, 1833
- Lithosia sericea Gregson, 1860
- Lithosia molybdeola Guenée, 1861
- Crambidia allegheniensis Holland, 1903
- Eilema flava (Lempke, 1964)
4.4. Unterarten
- Lithosia complana balcanica Daniel, 1939
4.5. Taxonomie
Dubatolov & Zolotuhin (2011) stellen die rhetorisch gemeinte Frage: “Does Eilema Hübner, [1819] (Lepidoptera, Arctiidae, Lithosiinae) present one or several genera?” Sie studierten die Genitalien aller ihnen zugänglicher Arten und kommen zum Schluss: “Amongst all cited generic groups, the most remarkable is Eilema Hb., s.str. with almost reduced saccular and costal processes; valva became ovoid without any processes (Fig. 9). It is very strange that in many modern guides [de Freina, Witt, 1987; Leraut, 2006; Ylla et al., 2010] male genitalia of the Eilema type species were figured incorrectly showing a clear saccular process factually absent. There is at least one more autapomorphic character for Eilema Hb.: presence of triangular harpe on the inner surface of valva near its base. Strongly enlarged uncus with narrowly extended tip is probably also autapomorphic for Eilema Hb., however enlarged uncus without such tip sometimes occurs in other species like boreal atratula Eversmann, 1847 group of species. Taking into account such strong differences between caniolum Hb. and other species, it is necessary to separate it from Eilema Hb. in a monotypic genus.”
Nach diesen Überlegungen gäbe es nur eine einzige Eilema-Art, nämlich Eilema caniolum (Hübner, [1808] 1796). Die anderen Arten verteilten sich auf die Gattungen Dolgoma (nicht in Europa), Katha (mit Katha deplana (Esper, 1787) als Typusart), Collita (mit Collita griseola (Hübner, 1803) als Typusart), Wittia (mit Wittia sororcula (Hufnagel, 1766) als Typusart, Zobida (mit Zobida bipuncta (Hübner, 1823–1824), Manulea (mit Manulea palliatella (Scopoli, 1763) als Typusart und Manulea complana (Linnaeus, 1758), Manulea pseudocomplana (Daniel, 1939), Manulea costalis (Zeller, 1847), Manulea pygmaeola (Doubleday, 1847), Manulea lutarella (Linnaeus, 1758), Manulea cereola (Hübner, [1800-1803]) sowie Manulea lurideola ([Zincken], 1817) als weiteren Arten) und schließlich Muscula (mit Muscula muscula (Staudinger, 1899). Die Aufspaltung in diverse Gattungen wurde ausschließlich mit größeren Unterschieden in den Genitalien begründet. Wir folgen im Lepiforum dieser Aufspaltung in zahlreiche Gattungen vorläufig nicht. Im Zeitalter des Barcoding sollten die Ergebnisse der Genitaluntersuchung in einem integrativen Ansatz erst einmal den Ergebnissen beim Barcoding gegenübergestellt werden, bevor es zu so weitreichenden Folgerungen kommt.
Macià et al. (2022) lieferten genetische Ergebnisse, trieben die Atomisierung von Eilema s.l. aber weiter voran, siehe dazu meinen Kommentar im Abschnitt Taxonomie bei Eilema caniola.
(Autor: Erwin Rennwald)
4.6. Literatur
- Dubatolov, V.V. & V.V. Zolotuhin (2011): Does Eilema Hübner, [1819] (Lepidoptera, Arctiidae, Lithosiinae) present one or several genera? - Евразиатский энтомологический журнал 10 (3): 367–379+380+VII [Eurasian Entomological Journal, 10 (3): 367–379+380+VII].
- Ebert, G. (1997): Die Gattung Eilema. In: Ebert, G.: Die Schmetterlinge Baden-Württembergs, Bd. 5. - Stuttgart (Verlag Eugen Ulmer), S. 234-267.
- Fajčik, J. (Hrsg.) (2003): Die Schmetterlinge Mittel- und Nordeuropas. Bestimmung - Verbreitung - Flugstandort - Bionomie. - Bratislava (F. Slamka), S. 151f.
- Erstbeschreibung: Linnaeus, C. (1758): Systema naturae per regna tria naturae, secundum classes, ordines, genera, species, cum characteribus, differentiis, synonymis, locis. Tomus I. Editio decima, reformata. 1-824. Holmiae (Laurentius Salvius).
- Macià, R., Ylla, J., Gastón, J., Huertas, M. & J. Bau (2022): The species of Eilema Hübner, [1819] sensu lato present in Europe and North Africa (Lepidoptera: Erebidae: Arctiinae: Lithosiini). — Zootaxa, 5191 (1): 001–087.





























































































