

+30Kontinente:EUAS












1. Lebendfotos
1.1. Falter
1.2. Ausgewachsene Raupe
1.3. Jüngere Raupenstadien
1.4. Fraßspuren und Befallsbild
1.5. Puppe
2. Diagnose
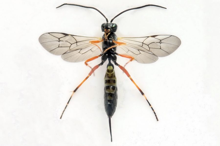
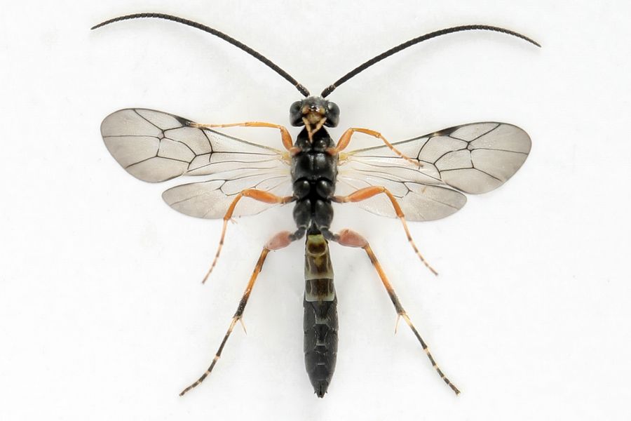
2.1. Weibchen
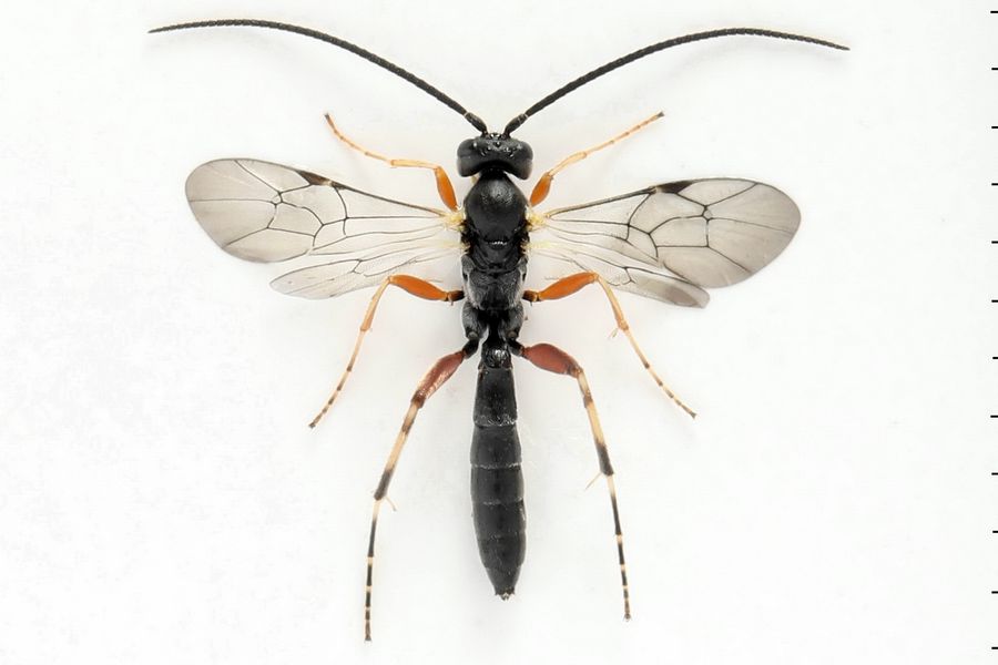
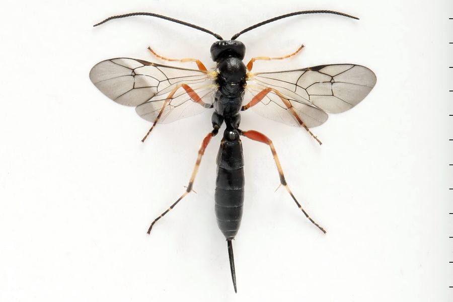
2.2. Geschlecht nicht bestimmt
2.3. Ähnliche Arten
Gegenüberstellung von Depressaria daucella mit Depressaria radiella [im Forum], Grafik von Tina Schulz.
"Was man dabei freilich beachten sollte: das funktioniert nur, wenn man sicher ist, dass es eine der beiden Arten ist. Weitere Arten auszuschließen kann schwierig sein, abhängig vom Zustand des Falters." [Peter Buchner]
2.4. Genitalien
2.4.1. Männchen
2.5. Erstbeschreibung
3. Biologie
3.1. Habitat
3.2. Raupennahrungspflanzen
3.3. Nahrung der Raupe
- [Apiaceae:] Pastinaca sativa (Pastinak)
- [Apiaceae:] Heracleum sphondylium (Wiesen-Bärenklau)
- [Apiaceae:] Heracleum sibiricum (Sibirischer Riesen-Bärenklau)
- [Apiaceae:] Heracleum mantegazzianum) (Riesen-Bärenklau) [Eilmus & Kurzawa (2015)]
Die Raupe ernährt sich von Knospen, Blüten und Samen.
3.4. Parasitoide
4. Weitere Informationen
4.1. Andere Kombinationen
- Phalaena (Tinea) radiella Goeze, 1783 [Originalkombination]
4.2. Synonyme
- Haemilis pastinacella Duponchel, 1838
- Depressaria pastinacella (Duponchel, 1838) [so in Karsholt & Razowski (1996)]
- Depressaria sphondiliella Bruand, 1851
- Depressaria ontariella Bethune, 1870
- Depressaria caucasica Christoph, 1877
- Depressaria obscura Dufrane, 1957
- Depressaria marginata Dufrane, 1957
- Depressaria lineata Dufrane, 1957
4.3. Nomenklatur
Als Linné (1758) seine "Phalaena (Tinea) heracliana" beschrieb, vermengte er zwei Arten, die heute in unterschiedliche Gattungen hören. Der Name "Depressaria heracliana" - und dessen zahlreichen abweichenden Schreibweisen [D. heraclei (Retzius, 1783), D. heraclella (Fabricius, 1798), D. heraclei Haworth, 1811, D. heracliella Doubleday, 1859] - wurden in der Folgezeit meist für das Tier verwendet, das als Raupe im Blütenstand von Bärenklau und anderen Doldenblütlern lebt und nach heutigem Maßstab tatsächlich in die Gattung Depressaria gehört. Für das andere Tier, das als Raupe Blätter dieser Pflanzen zusammenspinnt und jetzt in die Gattung Agonopterix gehört, verwendete man zumeist den Namen Depressaria applana (Fabricius, 1777) bzw. Agonopterix applana (Fabricius, 1777). Dies änderte sich schlagartig, als Bradley (1966) einen Lectotypus in Linnés Sammlung festlegte; da er nur 2 Tiere fand, die beide zu dem passten, was bis dahin "Agonopterix applana" hieß, musste jener Name durch "Agonopterix heracliana (Linnaeus, 1758) ersetzt werden. Schlimmer noch: Die bisherige "Depressaria heracliana" durfte nicht mehr so heißen und kam so über "Depressaria pastinacella (Duponchel, 1838)" zu "Depressaria radiella (Goeze, 1783)". Karsholt et al. (2006) diskutierten dieses nomenklatorische Chaos in allen Details. So fiel ihnen auf, dass die Gattung "Depressaria" wegen der unglücklichen Lectotypen-Festlegung jetzt gar keine Typusart mehr hatte; da ja ursrünglich das als Typusart gemeint war, was jetzt Depressaria radiella hieß, war es logisch, diese Art als Typusart festzulegen. Eigentlich wäre das 1966 ein Fall gewesen, wo die Komission des ICZN hätte angerufen werden müssen, um die Namen so zu stabilisieren, wie sie zuvor 2 Jahrhunderte lang genutzt wurden - doch es stellte niemand einen entsprechenden Antrag. 40 Jahre später waren alle an die Umstellung gewöhnt, ein Zurück hätte nach den Überlegungen von Karsholt et al. (2006) nur noch mehr Chaos verursacht. weitere 20 Jahre später erinnert sich kaum noch jemand an diese Problematik, aber wenn man in älterer Literatur ließt, ist es unabdingbar, diese zu kennen. Nach reificher Überlegung führen wir im Lepiforum weder Depressaria heraclei noch Depressaria heraclella oder Depressaria heracliella in unseren Synonymlisten - wir müssten alle Kombinationen bei beiden Arten listen und darauf hinweisen, dass man selbst herausfinden muss, was mit dem Namen, den man irgendwo gefunden hat, tatsächlich gemeint war. Und ganz besonders gilt das für "Depressaria heracliana".
(Autor: Erwin Rennwald)
4.4. Literatur
- Bradley, J.D. (1966): Some changes in the nomenclature of British Lepidoptera. Part 4. - Entomologist's Gazette, 17: 213-235. [Sekundärzitat]
- Eilmus, S. & J. Kurzawa (2015): Bemerkungen zum Auftreten der Flachleibmotte Depressaria radiella (Goeze, 1783) auf der invasiven Apiaceae Riesen-Bärenklau (Heracleum mantegazzianum) im Rheinisch-Bergischen Kreis (Lep., Depressariidae). — Melanargia 27 (3): 89-92. [PDF auf ag-rh-w-lepidopterologen.de (ganzes Heft, ca. 17 MB)]
- Erstbeschreibung: Goeze, J. A. E. (1783): Entomologische Beyträge zu des Ritter Linné zwölften Ausgabe des Natursystems, 3. Teil, 4. Band. I-XX + 1-178. Leipzig (Weidmanns Erben und Reich).
- Karsholt, O., Lvovsky, A. L. & C. Nielsen (2006): A new species of Agonopterix feeding on giant hogweed (Heracleum mantegazzianum) in the Caucasus, with a discussion of the nomenclature of A. heracliana (Linnaeus) (Depressariidae) — Nota lepidopterologica 28 (3/4): 177-192 [Digitalisat auf archive.org].
- Beschreibung als Depressaria heraclei: Retzius, A. I. (1783): CAROLI LIB. BAR. DE GEER REGIAE AVLAE MARESCH. R. ORD. WASIACI COMMEND. CRVCIG. R. ORD. DE STELLA BOR. EQUIT. AVRAT. R. ACAD. SCIENT. SVEC. MEMBR. ET PARISINAE CORRESPOND. GENERA ET SPECIES INSECTORVM E GENEROSISSIMI AVCTORIS SCRIPTIS EXTRAXIT, DIGESSIT, LATINE QVOAD PARTEM REDDIDIT, ET TERMINOLOGIAM INSECTORVM LINNEANAM ADDIDIT: I-VII + 8-220 + 1-32. LIPSIAE (SIEGFRIED LEBRECHT CRVSIVM).
- Karsholt, O., Lvovsky, A.L. & C. Nielsen (2006): A new species of Agonopterix feeding on giant hogweed (Heracleum mantegazzianum) in the Caucasus, with a discussion of the nomenclature of A. heracliana (Linnaeus) (Depressariidae). — Nota lepidopterologica 28 (3): 177-192 [PDF auf www.giant-alien.dk].
- SCHÜTZE (1931): 150
- Stainton, H. T. (1861): The natural history of the Tineina 6: I-IX, 1-283, pl. I-VIII. London (John van Voorst) – Paris (Deyrolle) – Berlin (E. S. Mittler und Sohn). — Digitalisat auf archive.org: [112-123], [pl. III fig. 2] (unter dem Namen Depressaria heracliana).






















































































