Länder:

+1Kontinente:AF


+1Kontinente:AF2. Diagnose
2.1. Männchen
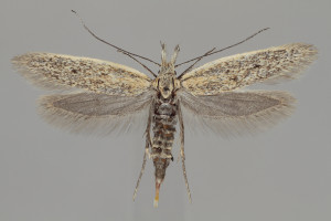
1: Paratypus: Marokko, Ifrane Prov., 4 km NNW Azrou, 1200 m, N33.47291 W5.24798, 16. Mai 2016, J. Tabell leg. (fot.: Juha Tyllinen)
2.2. Weibchen
4. Weitere Informationen
4.1. Typenmaterial
Tabell (2019: 444): “Holotype ♂ (GP 5882 J. Tabell, DNA sample MM25589 Lepid Phyl): Morocco, Ifrane Prov., 4 km NNW Azrou, 1200 m, N33.47291 W5.24798, 16.V.2016, J. Tabell leg. (coll. MZH), BOLD sample ID: MM25589. Paratypes: 22 ♂ (GP 5695 J. Tabell; DNA sample MM25588 Lepid Phyl), 3 ♀ (GP 5883 J. Tabell, DNA sample MM25587 Lepid Phyl; DNA sample MM25586 Lepid Phyl), same collecting data as holotype; 23 ♂ same collecting data as holotype, but 14.V.2016 (colls. MZH and TAB).”
4.2. Literatur
- Erstbeschreibung: Tabell, J., Mutanen, M. & P. Sihvonen (2019): Three morphologically and genetically confirmed new Pleurota species from Morocco (Lepidoptera: Gelechioidea: Oecophoridae: Pleurotinae). — Zootaxa 4624 (3): 442-450.




