Länder:

+44Kontinente:EUAS


+44Kontinente:EUASNeues Layout der Navigation (Beta Test)

Falter

Kopula

Eiablage

Ausgewachsene Raupe

Jüngere Raupenstadien

Puppe

Ei

Männchen

Weibchen

Genitalien ♂

Genitalien ♀

Erstbeschreibung

Habitat

Parasitoide

Prädatoren
LebendfotosDiagnoseGenitalienBiologieWeitere InformationenEtymologie (Namenserklärung)Andere KombinationenSynonymeLiteratur
1. Lebendfotos
1.1. Falter
1: var. concolor Staudinger, 1861: Österreich, Niederösterreich, Guntrams/Schwarzau, Ortsrand (Obstwiesen, Felder; in 300 m Wald) 350 m, 28. April 2002 (Foto: Peter Buchner), det. Peter Buchner
2: Österreich, Niederösterreich, Guntrams/Schwarzau, Ortsrand (Obstwiesen, Felder; in 300 m Wald) 350 m, 4. Mai 2002 (Foto: Peter Buchner), det. Peter Buchner
3: ♀: var. concolor Staudinger, 1861: Deutschland, Berlin (Herkunft der Eltern), e.l., Schlupf am 2. Oktober 2005 (Foto: Thomas Ziebarth)Forum
4: ♀: Österreich, Salzburg, Golling, 16. Mai 2005 (Foto: Erich Schnöll)
5: ♂: Deutschland, Baden-Württemberg, Rastatt-Förch, Schlosspark Favorite, 19. Mai 2006, Lichtfang (Studiofoto: Dietmar Laux)Forum
6: Deutschland, Bayern, Aichach-Sulzbach, im Garten auf Weide, Raupe 7. September 2006, Falterschlupf 12. November 2006 (Fotos: Michel Kettner), det. Michel KettnerForum
7: Österreich, Steiermark, Bad Mitterndorf, 16. Mai 2007 (Foto: Heinz Habeler), det. Heinz Habeler
8: ♂: Deutschland, Bayern, Erlautal bei Passau, 310 m, am Licht, 7. Mai 2009 (Foto: Rudi Ritt), det. Rudi RittForum
9: ♀: Deutschland, Bayern, München-Blumenau, 550 m, Jakob Meyer-Bender leg. Raupe im Oktober 2009, e.l. 29. April 2010 (Foto: Wolfgang Langer), cult. & det. Wolfgang LangerForum
10-11: var. concolor Staudinger, 1861: Deutschland, Brandenburg, Rohrbeck, Döberitzer Heide, Raupe eingesponnen in leichten Kokon 30. September 2011, Puppe 19. Oktober 2011, e.l. 1. Mai 2012 (cult., det. & Fotos: Martin Semisch)Forum
12: ♀ 2. Generation: Deutschland, Niedersachsen, 31275 Lehrte Sievershausen, 16. September 2012 (det. & fot.: Werner Szramka), conf. Erwin RennwaldForum
13-14: ♂: Österreich, Bundesland Salzburg, Pinzgau, Salzburger Schieferalpen, Maria Alm, Natrunberg, 1100 m, am Licht, 26. Mai 2014 (det. & Studiofotos: Sabine Flechtmann)Forum
15: Deutschland, Baden-Württemberg, Kaisersbach-Hellershof, Nadelwald, 490 m, Tagfund, 5. Juni 2016 (Freilandfoto: Robert Bader), det. Daniel BartschForum
16: ♂ var. concolor Staudinger, 1861: Schweiz, Kanton Bern, Hasliberg Hohfluh, 1050 m, am Strassenrand, an Mauer unter Laterne, in Bachnähe, im Mischwald inkl. Heiden, einschliesslich ein kleines Magerrasenplätzchen, 25. April 2014 (det. & fot.: Hildegard Stalder), conf. Egbert FriedrichForum
17: ♂ var. concolor Staudinger, 1861: Österreich, Steiermark, Graz, St. Peter, Garten, Mischwaldrand, ca. 380 m, 6. April 2026, am Licht (Foto: Horst Pichler)Forum
1.2. Kopula
1: Österreich, Niederösterreich, Pitten, Ortsgebiet, Garten in Ufernähe, 330 m, 6. Mai 2001 (Foto: Peter Buchner), det. Peter Buchner
2: Deutschland, Nordrhein-Westfalen, Hennef, Feuchtwiese, 20. Mai 2008 (Freilandfoto: Horst Köcher), det . Horst Köcher, Bild gedreht
3: Schweiz, Bern, Arni, Hämlismatt, 860 m, 8. Juni 2019, Tagfund (det. & fot.: Ursula Beutler)Forum
1.3. Eiablage
1: nach der Eiablage: Deutschland, Nordrhein-Westfalen, Bonn, Waldrand, 120 m, 25. Mai 2021, Tagfund (det. & Freilandfoto: Ingo Daniels), conf. Daniel BartschForum
1.4. Ausgewachsene Raupe
1: Deutschland, Hamburg, letztes Raupenstadium, 25. September 2006 (Foto: Renate Ridley), cult. & det. Renate RidleyForum
2: Deutschland, Rheinland-Pfalz, Monreal, Elztal, 31. August 2004 (Foto: Herbert Stern), det. Herbert Stern
3-4: Deutschland, Bayern, Aichach-Sulzbach, im Garten auf Weide, 7. September 2006 (Fotos: Michel Kettner), det. Michel KettnerForum
5: Deutschland, Rheinland-Pfalz, Ober-Olmer Wald bei Mainz, 18. August 2007 (manipuliertes Freilandfoto: Jürgen Rodeland), det. Jürgen Rodeland
6-7: Deutschland, Sachsen, Annaberg-B., ca. 630 m, an Himbeere sitzend, 24. September 2007 (Studiofotos: Ulrich Müller), det. Ulrich MüllerForum
8: Deutschland, Hessen, Erbach bei Bad Camberg, 280 m, 21. September 2008 (Foto: Karl-Josef Backhaus), det. Ernst HerkenbergForum
9: Deutschland, Bayern, Bayerischer Wald, Hoher Bogen, 800 m üNN, 3. September 2004 (Studiofoto: Ingrid Altmann) cult. und det. Ingrid AltmannForum
10: Deutschland, Sachsen, Annaberg-Buchholz, 615 m, 7. September 2008, an Zitterpappel, (Foto: Ulrich Müller), det. Ulrich MüllerForum
11: Deutschland, Sachsen, Methau, 220 m, dunkeles Pappelwäldchen, 26. August 2009 (Foto Marek Schildbach), det. Marek Schildbach, conf. Heidrun Melzer & Rainer RothForum
12: Deutschland, Thüringen, Weißbacher Mischwald (Saale-Holzland-Kreis), 300 m, Raupe am 7. August 2009 gefunden, 15. September 2009 (Studiofoto: Helga Schöps), det. Helga SchöpsForum
13-15: Deutschland, Brandenburg, Rohrbeck, Döberitzer Heide, 17. September 2011 (det. & fot.: Pia Wesenberg)Forum
16: ventral: Deutschland, Niedersachsen, Rodenberg, am Rand von "Steinriesen", beim ehemaligen "Taxi Thienel", 68 m, leg. Raupe 16. September 2014 von Salix spec., Zuchtfoto 23. September 2014 (cult., det. & fot.: Tina Schulz)Forum
1.5. Jüngere Raupenstadien
1: Deutschland, Staufen, 26. Juni 2005 (Foto: Siegfried Rudolf), det. Heiner ZieglerForum
2: Deutschland, Nordrhein-Westfalen, 57078 Siegen-Geisweid, Wohngebiet am Waldrand, M+W an Blechgarage 10. Mai 2009, Eiablage 11. Mai 2009, Schlupf 30. Mai 2009 (Studiofoto: Uwe Diener), det. Uwe DienerForum
3: Deutschland, Nordrhein-Westfalen, 57078 Siegen-Geisweid, Wohngebiet am Waldrand, M+W an Blechgarage 10. Mai 2009, Eiablage 11. Mai 2009, zwei Tage alt (Studiofoto: Uwe Diener), det. Uwe DienerForum
4-5: Deutschland, Sachsen, Chemnitz, Stadtpark, ca. 350 m, Länge 1 cm, leg. Raupe an Buche 11.07.2014, Fotos vom 13. Juli 2014 [5] und 26. Juli 2014 [6] (det. & Studiofoto: Marion Friedrich)Forum
6: von Schlupfwespenlarve (Ichneumonidae, Campopleginae) parasitiert, Deutschland, Sachsen, Chemnitz, Stadtpark, ca. 350 m, leg. Raupe an Buche 11.07.2014, 19. September 2014 (det. & Studiofoto: Marion Friedrich)Forum
1.6. Puppe
1-2: Deutschland, Bayern, München-Blumenau, 550 m, Jakob Meyer-Bender leg. Raupe im Oktober 2009 (Fotos am 14. April 2010: Wolfgang Langer), cult. & det. Wolfgang LangerForum
3-4: (4: Kokon), Deutschland, Nordrhein-Westfalen, Wassenberg-Myhl, leg. Raupe 3. Oktober 2005, 3. Januar 2006 (Fotos: Claudia Mech), conf. Markus KnustForum
5-7: Deutschland, Brandenburg, Rohrbeck, Döberitzer Heide, Raupe eingesponnen in leichten Kokon 30. September 2011, Puppe 19. Oktober 2011 (cult., det. & Fotos: Martin Semisch)Forum
1.7. Ei
1: Deutschland, Hessen, Weiershausen bei Marburg, ca. 260 m, 15. Mai 2007 (Foto: Berthold Epping), det. Berthold EppingForum
2: Deutschland, Nordrhein-Westfalen, 57078 Siegen-Geisweid, Wohngebiet am Waldrand, Männchen + Weibchen an Blechgarage 10. Mai 2009. Eiablage am 11. Mai 2009 (Studiofoto: Uwe Diener), det. Uwe DienerForum
3: Deutschland, Berlin, Staaken, Garten-Gelände, ca. 50 m, aus Lichtfang vom 27. April 2020, 2. Mai 2020 (leg., det. & fot.: Bernd Krüger)Forum
4: Deutschland, Nordrhein-Westfalen, Bonn, Waldrand, 120 m, 3. Juni 2021, Tagfund (det. & Freilandfoto: Ingo Daniels), conf. Daniel BartschForum
2. Diagnose
2.1. Männchen
1-6: drei ♂♂, Daten siehe Etikett (coll. & Fotos: Egbert Friedrich)
7: ♂, Deutschland, Baden-Württemberg, 78176 Blumberg, Ortsrandlage, Südhang, in Waldnähe (Buchen-Mischwald, Waldrand mit anschließendem Trespen-Halbtrockenrasen auf Kalk), 720 m, 28. Mai 2010, am Licht (leg., det. & Foto: Hans-Peter Deuring)
2.2. Weibchen
1-6: drei ♀♀, Daten siehe Etikett (coll. & Fotos: Egbert Friedrich)
7: ♀, Deutschland, Baden-Württemberg, 78176 Blumberg, Ortsrandlage, Südhang, in Waldnähe (Buchen-Mischwald, Waldrand mit anschließendem Trespen-Halbtrockenrasen auf Kalk), 720 m, 7. Juni 2010, am Licht (leg., det. & Foto: Hans-Peter Deuring)
8: ♀ var. concolor Staudinger, 1861: Deutschland, Baden-Württemberg, 78176 Blumberg, Ortsrandlage, Südhang, in Waldnähe (Buchen-Mischwald, Waldrand mit anschließendem Trespen-Halbtrockenrasen auf Kalk), 720 m, 7. Juni 2010, am Licht (leg., det. & Foto: Hans-Peter Deuring)
2.3. Genitalien
2.3.1. Männchen
1: ♂, Österreich, Steiermark, Präbichl, Reichenstein, Bergwiese, 1300 m, 18. Juni 2024, am Licht (Foto: Horst Pichler), Falterfoto im ForumForum
2.3.2. Weibchen
1: ♀, Österreich, Steiermark, Graz, Mariatrost, Hauenstein, Waldrand, Wiese, ca. 560 m, 7. Juni 2023, am Licht (Foto: Horst Pichler), Falterfoto im ForumForum
2.4. Erstbeschreibung
1: Linnaeus (1758: 503) [nach Copyright-freiem Scan auf www.biodiversitylibrary.org]
3. Biologie
3.1. Habitat
1: Deutschland, Mecklenburg-Vorpommern, Wieck/Darß, 3 m, 2. September 2011 (Foto:Helmut Kaiser)Forum
2: Präimaginalhabitat, Deutschland, Baden-Württemberg, Südschwarzwald, Neuenweg, schattiger Waldweg mit Gebüsch, 845 m, 17. September 2014 (Foto: Florian Nantscheff)Forum
3: Larvalhabitat, Deutschland, Niedersachsen, Region Hannover, Burgdorf, Burgdorfer Holz, Nähe "Seerosenteiche", 67 m, 16. Oktober 2016 (Foto: Tina Schulz)
3.2. Parasitoide
1-3: Schlupfwespe der Unterfamilie Campopleginae, Deutschland, Sachsen, Chemnitz, Stadtpark, ca. 350 m, leg. Raupe 11.07.2014, Schlupf und Einspinnen der Larve 20. September 2014 (det. & Studiofoto: Marion Friedrich)Forum
4: fertiger Kokon Schlupfwespe der Unterfamilie Campopleginae, Deutschland, Sachsen, Chemnitz, Stadtpark, ca. 350 m, leg. Raupe 11.07.2014, Larvenkokon 22. September 2014 (det. & Studiofoto: Marion Friedrich)Forum
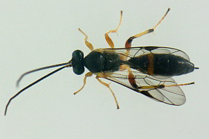
5-6: Imago Schlupfwespe der Unterfamilie Campopleginae, Deutschland, Sachsen, Chemnitz, Stadtpark, ca. 350 m, leg. Raupe 11.07.2014, 9. Oktober 2014 [5] und 7. Oktober 2014 [6] (det. & Studiofoto: Marion Friedrich)Forum
3.3. Prädatoren
1: Raupe als Opfer der Großen Zitterspinne, Pholcus phalangioides (det. Karola Winzer): Deutschland, Baden-Württemberg, 77815 Bühl-Baden, südliche Ortsrandlage, Durchgang auf der Baustelle zum Balkon, 27. Juli 2011 (det. & fot.: Willy Dresel)Forum
4. Weitere Informationen
4.1. Etymologie (Namenserklärung)
„die Verschämte, weil die Raupe bei Berührung den Kopf versteckt durch Einrollen des Leibes, oder wegen der Haltung des sitzenden Falters.“
4.2. Andere Kombinationen
- Phalaena pudibunda Linnaeus, 1758 [Originalkombination]
4.3. Synonyme
- Dasychira grundi Lorkovic, 1930
- Dasychira pygmaea Lének, 1957
- Dasychira paktia Ebert, 1968
4.4. Literatur
- Bryner, R. (2000): Calliteara pudibunda. — In: Pro Natura – Schweizerischer Bund für Naturschutz (Hrsg.) (2000): Schmetterlinge und ihre Lebensräume. Arten, Gefährdung, Schutz. Schweiz und angrenzende Gebiete. Band 3: 549-552. Egg (Fotorotar AG).
- Ebert (1994) (= Ebert 4), 422-428.
- Erstbeschreibung: Linnaeus, C. (1758): Systema naturae per regna tria naturae, secundum classes, ordines, genera, species, cum characteribus, differentiis, synonymis, locis. Tomus I. Editio decima, reformata. 1-824. Holmiae (Laurentius Salvius).












































































































