Länder:

+4Kontinente:ASOC


+4Kontinente:ASOCInhalt
1. Live pictures
1.1. Imago
1-2: Indonesien, Bali, Batubulan, 9. Februar 2024 (det. & fot.: Kersten Krause)
3: Indonesien, Bali, Batubulan, 14. Februar 2024 (det. & fot.: Kersten Krause)
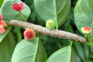
1.2. Caterpillar
1-2: Indonesien, Bali, Batubulan, 26. und 28. Januar 2024 (det. & fot.: Kersten Krause)
3: Indonesien, Bali, Batubulan, 31. Januar 2024 (det. & fot.: Kersten Krause)
1.3. Pupa
2. Diagnosis
2.1. Original description
1-2: Walker (1858: 1407-1408) [from copyright-free scans at www.biodiversitylibrary.org]
4. Further information
4.1. Other combinations
- Naxia propyrrha Walker, 1858 [original combination]
- Buzara propyrrha (Walker, 1858)
4.2. Faunistics
Nach [Global Biodiversity Information Facility] kommt die Art in Australien und Neukaledonien vor.
Locus typicus gemäß Erstbeschreibung: Australia.
(Autor: Michel Kettner)
4.3. Literature
- Original description: Walker, F. (1858): List of the Specimens of Lepidopterous Insects in the Collection of the British Museum 14: 1237-1519.


























