

+3Kontinente:EU










1. Lebendfotos
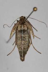
1.1. Falter
1.1.1. Männchen
1.1.2. Weibchen
1.2. Kopula
1.3. Ausgewachsene Raupe
1.4. Jüngere Raupenstadien
1.5. Puppe
1.6. Ei
2. Diagnose
2.1. Männchen
2.2. Weibchen
2.3. Saugrüssel
Beide Geschlechter der L. thaumastaria besitzen kleine, sehr dünne, aber gut ausgebildete Saugrüssel. Der voll funktionsfähige Saugrüssel des Männchens ist etwa das Vier- bis Fünffache des Augendurchmessers lang. Der des Weibchens war etwas kürzer und wurde mittels einer feinen Nadel am toten Tier zur Prüfung zwangsausgerollt. Während das Männchen spontan - mehrfach, auch länger an einer gereichten Weinbeere gesaugt hatte [oben gezeigtes Lebendfoto, Anmerkung Jürgen Rodeland], war das Weibchen nicht dazu zu bewegen!
(Autor: Michael Leipnitz)
2.4. Erstbeschreibung
3. Biologie
3.1. Habitat
3.2. Nahrung der Raupe
Noch unbekannt! Lunak (1940: 95-97) verglich die Art in der Zucht mit Lignyoptera fumidaria aus der Umgebung von Wien: "Betreffs der Futterpflanze auf den beiden fumidaria-Biotopen ist erwähnenswert, daß die Raupe von fumidaria am Braunsberg bei Hainburg mit Vorliebe auf Chrysocoma linosyris [jetzt Galatella linosyris (Goldhaar-Aster)] lebt, während sie in der Münchendorfer Heide auf Achillea millefolium vorkommt. Im übrigen ist aber die Raupe als polyphag zu bezeichnen, und die angeführten Pflanzen sind als Lieblings- oder bevorzugtes Futter anzunehmen. Daß es sich bei L. thaumastaria nicht anders verhalten würde, zeigte die Zucht derselben." Die im Herbst abgelegten Eier überwinterten und entließen die Räupchen dann Ende April. Der Autor berichtet dazu: "Das frischgeschlüpfte Räupchen ist wachsgelb, 5 mm lang, und verfärbte sich nach Futterannahme alsbald graugrün. Als Futter legte ich Beifuß, Artemisia vulgaris, sowie Schafgarbe und Garten-Chrysanthemen vor, am liebsten wurde Artemisia angenommen." Ob die Raupe im Freiland eine Vorliebe für Asteraceae - oder gar eine Bindung an sie - zeigt, ist noch zu klären.
4. Weitere Informationen
4.1. Etymologie (Namenserklärung)
„θαυμαστός bewundert, wunderbar.“
4.2. Taxonomie
Nach Skou & Sihvonen (2015: 207) und Müller et al. (2019: 516-518) ist die Zuordnung der Gattung Lignyoptera zu den Ennominae und dort zu den Lithinini sehr unsicher.
4.3. Faunistik
Der Holotypus wurde "Auf einem höheren Gebirgszuge südlich von Zepce in Nordbosnien am 15. October 1901" gefangen. Die Art scheint ein Endemit von Bosnien-Herzegowina und Montenegro zu sein.
Im [Forumsbeitrag von Axel Steiner vom 19. November 2022] ist in amüsanter Kurzfassung nachzulesen, wie Lunak (1938) diesem Falter eine Nachsuche widmete, die am 20. Oktober 1937 von Erfolg gekrönt war. Die entscheidende Passage: „Um 5 Uhr früh war ich wieder am Flugplatz [...] es war die Zeit des Copulationsfluges [...] Im weißen Reif glitzerte die Vlasic planina im Mondlicht, das Thermometer zeigte 2 Grad Kälte und unbekümmert flogen die Falter.“ Das war die bisher letzte Freiland-Beobachtung eines Entomologen mit dieser Art, die damit bis zum Wiederfund im Oktober 2023 als ausgestorben oder verschollen zu gelten hatte.
Über diesen Wiederfund ist erst einmal bei [docs.dpaq.de] nachzulesen - und - mit Dank an die Wiederfinder - gibt es jetzt auch Lebendfotos bei uns.
(Autor Erwin Rennwald)
4.4. Literatur
- Albers, T. (1940): Die männlichen Genitalarmaturen von Lignyoptera thaumastaria Rbl. und L. fumidaria Hb. — Zeitschrift des Wiener Entomologen-Vereines 25: 185-186. [PDF auf zobodat.at]
- Lunak, R. (1938): Im Hochgebirge Bosniens wegen Lignyoptera thaumastaria. — Zeitschrift des österreichischen Entomologen-Vereines, 23: 1-5, 19-22, Taf. 1. [PDF Teil 1 auf zobodat.at] und [PDF Teil 2 auf zobodat.at]
- Lunak, R. (1940): Die Biotope und Biologie von Lignyoptera thaumastaria Rbl. im Vergleich mit L. fumidaria Hb. — Zeitschrift des Wiener Entomologen-Vereines 25: 94-98, pl. XVI. [PDF auf zobodat.at]
- Müller, B., Erlacher, S., Hausmann, A., Rajaei, H., Sihvonen, P. & P. Skou (2019): The Geometrid Moths of Europe. Volume 6. Subfamily Ennominae II (Boarmiini, Gnophini, additions to previous volumes). — Part 1: 1-562, part 2: 563-906. Leiden & Boston (Brill).
- Erstbeschreibung: Rebel, H. (1901): Neue Lepidopteren aus Bosnien und der Hercegovina. — Verhandlungen der kaiserlich-königlichen zoologisch-botanischen Gesellschaft in Wien 51: 798-804. [PDF auf zobodat.at]
- Skou, P. & P. Sihvonen (2015): The Geometrid Moths of Europe [A. Hausmann (ed.)]. Volume 5. Subfamily Ennominae I (Abraxini, Apeirini, Baptini, Caberini, Campaeini, Cassymini, Colotoini, Ennomini, Epionini, Gnophini (part), Hypochrosini, Lithinini, Macariini, Prosopolophini, Theriini and 34 species of uncertain tribus association). - 657 S.; (Brill) Leiden.





































